Hola!しずこです☺️
いやー寒い!とにかく寒いです。日本の冬と比べたらなんてことないのですが…
なんでそんなに寒い寒い言ってるかというと、今日はコスメル島で潜ってきたから、です😎
陸上での20度は過ごしやすくて気持ちいいですが、海上での20度は別物ですよね🥶
本日の水温は26度でしたが、水から顔を出して風が当たった瞬間、お客さんと「寒いーーー😱」と大騒ぎしてしまいました。笑
ここでお知らせです!2027年12月、メキシコ・ソコロ諸島を目指すダイビングクルーズツアーの催行が決定しました‼️✨
9泊10日の外洋クルーズ船ツアーです!
少しでも気になる方は、ぜひ以下のURLより詳細をご覧ください!
という訳で、本日はマンツーでコスメルで潜ってまいりました!

寒くたってカリブ海は美しい🙏

パランカールリーフのダイナミックな地形を進みます

3年のブランクがあるとのことでしたが、ブランクなんて感じさせない泳ぎです👏
雨の影響か、島からの冷たい水が入ってきて所々ひんやり。そろそろウェットスーツで潜ろうかと思います😇

そして2本目
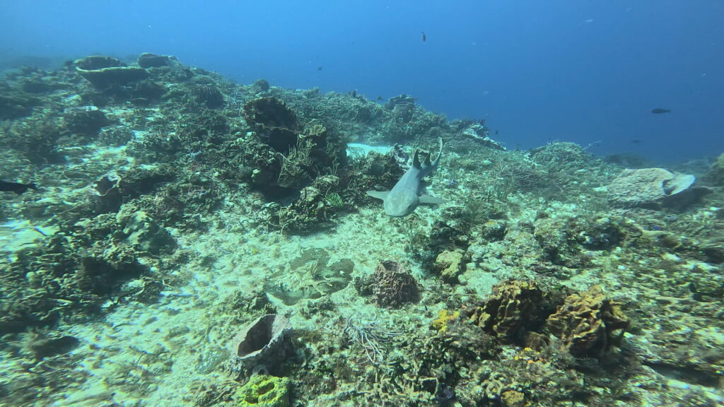
サンクレメンテで楽しい出会いがありました!遠くに大きなナースシャーク様🦈

…こっちに来る!!

ん?

近くない?

近い近い近い(ひっそりコバンザメ)

からのお客様の方へ

わぁぁぁ

失礼しまーす

こんな感じで離れては近寄って、離れては近寄って…何度も私たちの周りを泳いでいました🦈
サメが大好きな私ですが、さすがに少しドキドキしてしまいましたよ😂
人もサメも、適度な距離感が大事だと改めて感じたダイビングでした。笑
明日はファミリーでのプライベートツアー!まーるまーる最年少のお客様がいらっしゃいます👶
今からワクワク楽しみです😍
明日も安全第一で行って参ります!
それではまた!Hasta luego!
ダイブクラブまーるまーるは、新規スタッフを募集しています❗️✨
メキシコのセノーテ・カリブ海で一緒に働きませんか❓
経験の有無は問いません。海外経験がない方でも大歓迎🥺
一からしっかりと研修を行い、全力で成長をサポートします❗️💪
ここでしか見られない、体験できないダイビングを安全にお客様をお連れできるように、成長をしていきましょう!そして、「私たちのセノーテ」として誇れるお仕事を一緒にしましょう❗️
詳しくは概要をご覧ください🌟ご質問等があれば気軽にお問い合わせください。
ご連絡をお待ちしております❗️
✏️求人募集概要:https://www.diveclub-marumar.com/blog/250308/
📢クレジットカード決済を始めました❗️☺️ぜひご利用下さい❗️ 📢
WebやSNSで随時、メキシコやプラヤデルカルメンの情報、ダイビングの写真,たまになんでもないおもしろストーリー?! などなどアップしていきます📷🇲🇽🤿
フォローよろしくお願いいたします🙇
Web https://www.diveclub-marumar.com
instagram : @diveclub_marumar
Facebook : Dive Club MaruMar
公式LINEアカウント:ダイブクラブまーるまーる ID:@334yxyhw
#mexico #playadelcarmen #diving #cenote
#メキシコ #プラヤデルカルメン #ダイビング #セノーテ





